Давно мечтаешь о густом кустарнике ароматной голубики, но не знаешь, какой же сорт все-таки выбрать? Что делать, когда все описания давно прочитаны, и на первый взгляд все такое заманчивое? Опытные садоводы практически единогласно сходятся в одном: бери Патриот и не прогадаешь! А мы расскажем про особенности его посадки и ухода!
Описание и характеристики сорта
Патриот – американский сорт, выведенный селекционерами в 1976 году. Изначально его использовали для зеленых изгородей и в ландшафтном дизайне, на вот вкусовые качества голубики оценили только в конце девяностых. И вот теперь это один из самых популярных сортов и в промышленности, и на дачах.
Ягоды сорта Патриот по началу кажутся немного странными – они слегка сплюснутые, неоднородного диаметра, с зеленым пятном у плодоножки. Но все сомнения уходят на второй план после первой же дегустации сочных, сладких, плотных плодов.
Среднерослый куст достигает в высоту 1,6 м, но чаще растет в пределах 1,2-1,4 м. Он прямостоячий, но хорошо ветвится, поэтому очень декоративен и со временем разрастается в настоящий шар. Овальные листья Патриота имеют непривычный красноватый оттенок, но по мере роста зеленеют, а потом – светлеют.
В мае кустарник покрывается крупными кистями из бледно-розовых цветов-колокольчиков. Густо разветвленная корневая система уходит в грунт всего на 40 см, так что требует бережного обращения. Максимальное плодоношение наступает примерно на пятый год.
Учти, что Патриот расцветает рано, поэтому в регионах со слишком сильными весенними заморозками возможны обморожения. Самые крупные ягоды – первые, которые могут доходить до 1,9 см в диаметре. К каждому следующему сбору они понемногу мельчают, но это никак не сказывается на вкусовых качествах.
Уход за голубикой Патриот
В плане ухода Патриот очень беспроблемный сорт, так что даже у новичков не возникает с ним проблем. Никаких специфических нюансов относительно других сортов и голубики в целом тут нет.
Температура
Лучше всего плодоносит голубика Патриот при стандартной летней температуре около +25 градусов. Но это зимостойкий сорт, пригодный для регионов с коротким летом.
Освещение
Патриот предпочитает яркий солнечный свет, открытые участки и возвышенности. В тени этот сорт гораздо хуже плодоносит, а ягоды теряют вкусовые качества. Кроме того, нужно хорошее проветривание, но при этом без сквозняков.
Полив
Голубика Патриот любит влажность, но не переносит сырость, постоянно мокрую землю и близкое залегание грунтовых вод. Обязательно сделай хороший дренаж, чтобы влага не застаивалась, иначе будет сложно избежать грибка и гнили. В сезон поливай кусты несколько раз в неделю, чтобы грунт был постоянно влажным, но не заболоченным.
Почва
Легкие и воздухопроницаемые песчаные или супесчаные почвы – то, что нужно для голубики Патриот. Главное – грунт должен быть кислым, с pH минимум от 4,5 до 6. Это основное требование для хорошего роста голубики, и оно же – не самое привычное, ведь в саду чаще приходится раскислять почву, чем наоборот.
Подкормка
Голубика – тот редкий случай, где можно щедро использовать кислые азотные удобрения без золы или доломитовой муки. Половину комплекса внеси в начале весны, а вторую раздели на две части – непосредственно перед цветением и перед формированием завязей. От органики рекомендуем отказаться, потому что она не слишком подходит для голубики.
Размножение
Голубику Патриот размножают черенкованием из молодых крепких побегов. А вот с отводками сложнее – при благоприятном раскладе они быстрее укореняются, но в целом эффективность метода ниже. В любом случае всегда используй стимуляторы, потому что именно укоренение – самая большая сложность в уходе за голубикой.
Опыление
Патриот относится к самоопыляющимся сортам, так что его можно выращивать отдельно. Но, как это свойственно для голубики в целом, лучшие урожаи получаются при перекрестном опылении. Для этого поблизости должно расти несколько сортов, которые цветут в одно время.
Обрезка
Сорт Патриот склонен к регулярному загущиванию и перегрузке урожаем. Из-за этого кустарнику постоянно не хватает питательных элементов, а ягодами – места. Чтобы урожай не мельчал и не слабел, нужна регулярная интенсивная обрезка примерно с третьего года, а санитарно-косметическая – уже с первого.
Сбор урожая
Первые крупные ягоды Патриота довольно деликатны, поэтому их лучше собирать вручную. А вот все последующие партии уж нормально переносят механизированную уборку. Сбор урожая приходится на середину июля, и урожайность взрослых кустов варьируется от 6 до 9 кг.
Зимовка
По разным свидетельствам, куст не мерзнет при температуре от -30 до -40 градусов. Но если зимы в твоем регионе бесснежные, рекомендуем утеплить кустарник лапником, кукурузой или агротекстилем.
Посадка голубики Патриот
Голубику Патриот лучше всего высаживать ранней весной, потому что осенью для нее бывает уж слишком холодно. При посадке расправь корневище и разложи его на пару сантиметров ниже того уровня, который был в контейнере. Обязательно мульчируй прикорневую зону для защиты и питания корней.
Для рослого кустарника нужна яма примерно 80х80х50 см, либо же широкая траншея для массовой посадки. Оставляй между саженцами минимум 1,5 м, а между рядами – все 3. Рассаду можно уплотнить, но тогда понадобится существенно больше удобрений, и в целом это актуально только для промышленных посадок.
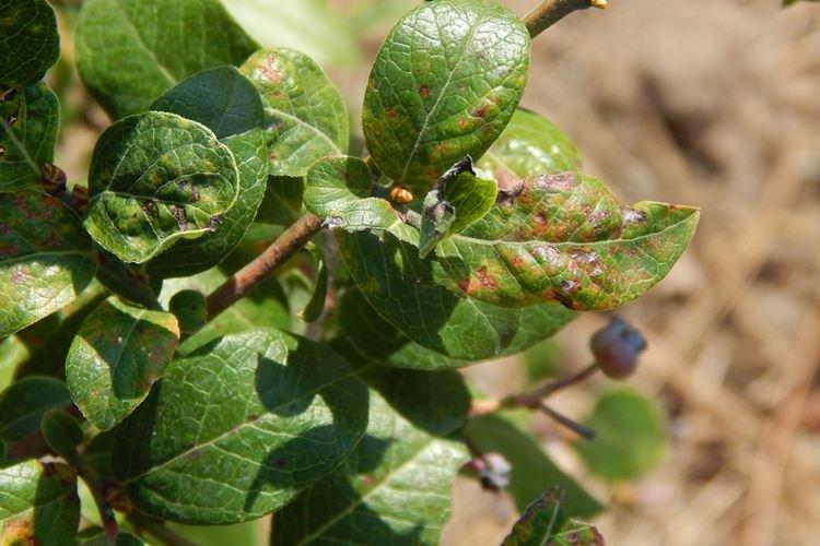
Борьба с вредителями и болезнями
Голубика Патриот практически не болеет, как и остальные селекционные сорта. Она на генетическом уровне устойчива к фитофторозу, грибку и корневой гнили. Для профилактики от вредителей и грибка достаточно провести сезонное опрыскивание пестицидами.
Листья и цветы голубики поедают майские жуки, а корни – их личинки. Тля, клещи и гусеница не так часто селятся на ягодах, особенно – на обработанных. Если не убирать старые ветки, могут появиться древесные паразиты. Так что главное – вовремя проводить санитарную обработку, сбирать падалицу и мульчировать почву.



